





ดำน้ำไปตรงไหนก็เจอ “นีโม่” ปลาการ์ตูนส้มขาว เจอตัวแรก ดีใจมาก
ว่ายไปอีกหน่อย เจออีก มาแบบทั้งวงตระกูลเลย คือรับประกันได้ว่ามาที่นี่ ยังไงก็เจอนีโม่แน่นวล

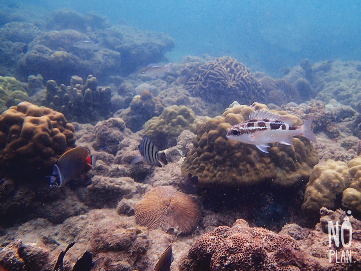
มีทุ่งปะการังเขากวางเล็กๆ กับเค้าด้วยนะ

แก็งค์ปลาผีเสื้อ

ปลาทรายขาวแถบโค้ง ปลาใจดีที่ชอบอยู่นิ่งๆให้เราถ่ายรูป


ปลาผีเสื้อเทวรูปที่ว่ายกันไปคนละทิศคนละทาง



ปลาการ์ตูนอินเดียน อยู่เฉพาะฝั่งอันดามันเท่านั้น
ถ้าเจอฝั่งอ่าวไทย หน้าตาเหมือนกันเปี๊ยบ แต่มีขีดขาวที่แก้ม ตัวนั้นชื่ออินเดียนแดงนะ

ปลาไหลมอเร่ย์ อ้าปากแยกเขียวใส่ เห็นแล้วตกใจมาก รีบถ่ายรีบว่ายหนี
แต่มารู้ที่หลังว่าจริงๆคือมันอ้าปากหายใจยังงั้นของมันปกติ5555555

ทากทะเล หรือนูดี้ Nudibranch ดำน้ำตื้นแค่2-3 เมตรก็เจอเจ้านี่ด้วย

ดำน้ำกันจนเพลิน รู้ตัวอีกทีคือน้ำลงไปเร็วมาก เพื่อนก็เรียกให้ขึ้นได้แล้ว นี่ก็ยังเพลินอยู่
ก็มันมีอะไรดีๆเยอะอ่ะ ยังไม่อยากขึ้นเลย สรุปติดอยู่นอกหาดจ้า เข้ามาไม่ได้555555555555
เดินก็ไม่ได้ ค่อยๆนอนไหลๆตามน้ำ หลบโขดหินมาจนถึงฝั่ง หันไปหาเพื่อนที่กำลังโวยวายอยู่ข้างหลัง
ว่าไม่รอนาง เออนางอยู่ไกลจริงหว่ะ แม้จะงกๆเงิ่นๆเข้าฝั่งมาได้ แต่ก็ได้แผลมา 1 แผล 5555555555



บรรยากาษตอนเย็นๆ ฟ้าก็จะนวลๆหน่อย
ห้องน้ำที่นี่สะอาดใช้ได้ แต่พอดึกแล้วไฟอาจสว่างไม่พอ ควรพกไฟฉายกับทิชชูเปียกไปด้วยนะจะได้อุ่นใจ

เมนูมื้อเย็นเราคือผัดหน่อไม้ ผักบุ้ง น่องไก่ กินง่ายอยู่ให้ง่ายนะ มันจะมีความสุขสุดๆ
กับบรรยากาศบ้านบาร์ ที่แค่เงยหน้ามองฟ้าก็เห็นดาวเต็มเลยแหละ

20.30 พี่ๆชาวเกาะพาไปดุปูแม่ไก่ ปูน้ำจืด! ตามโพรงหินย้อยหลังเต็นท์
มันอยู่ได้เพราะน้ำจากหินที่หยดลงมา แถมขามันปีนเขาได้ด้วยนะ
DAY 3

ตีห้าครึ่งไงหล่ะ มาทะเลทั้งที ก็ต้องตื่นมาดูพระอาทิตย์ขึ้นเป็นธรรมดา
บางคนก็บอกว่าพระอาทิตย์ก็ขึ้นของมันทุกวัน ทำไมไม่รู้จักดูหล่ะ
นั่นดิ แต่ที่เราตื่นขึ้นมาทุกวัน มันไม่ใช่วิวกับบรรยากาศแบบนี้ไง
ไหนๆมาแล้วก็ตื่นมาสูดอากาศดีๆ ให้เต็มปอดสักทีดิ่

Breakfast ที่นี่ก็บุฟเฟ่ต์ขนมปัง ไส้กรอก ไข่ดาว ข้าวต้ม
8:30 พี่ๆสต๊าฟนัดรวมตัว จริงๆกิจกรรมทัวร์วันนี้คือ ไปเกาะเหลาเหลียงพี่ ที่อยู่ติดกัน (ที่เรานอนคือเหลาเหลียงน้อง)
ตัวพี่นี่คือนอนค้างไม่ได้ เดินเล่น ถ่ายรูปบนหาดได้ แต่พอดีช่วงนั้นเค้าไม่ให้ขึ้นเกาะ เป็นช่วงเก็บรังนกพอดี
ก็เลยพาเราไปดำน้ำที่เกาะตะเกียงแทน ดีเลย เราสายดำน้ำอยู่แล้ว5555555


จุดดำน้ำที่นี่ส่วนใหญ่เป็นปะการังโขดหิน กับฝูงปลาตัวเล็กๆเยอะ ไม่หลากหลายเท่าหน้าหาดเรานะ
น้ำลึก มีตะกอนหน่อย แต่ก็มองเห็นได้สบายๆ ดำน้ำอยู่เกือบชั่วโมง ก็กลับเกาะเหลาเหลียง
12.30 เรือออก โบกมือลา แล้วจะกลับมาอีกแน่นวล เราว่าที่นี่ยังคงรักษาความเป็นธรรมชาติไว้ได้ดีสุดๆ
ไม่เหมือนเกาะใหญ่ๆที่มีสิ่งปลูกสร้าง ความบันเทิงครบวงจร มันเลยยังสวยและสงบมาก
ส่วนตัวคิดว่า 2 วัน 1 คืนก็เพียงพอสำหรับที่นี่นะ แต่ถ้าชอบบรรยากาศเงียบๆ ก็จัด 3 วัน 2 คืนไปเลย ฟินสุด
ปล.เกาะนี้มีกิจกรรมให้ทดลองปีนผาด้วยนะ แต่ตอนเราไปหินเป็นตะไคร่ มันลื่น เลยงดไป อดเลย ครั้งหน้าจะไม่พลาดนะ
“เกาะเหลาเหลียง”

14:30 ก็มาถึงไมตรีเฮ้าส์ ที่พักเราคืนนี้ ใจกลางเมืองตรัง
ใกล้กับสถานีรถไฟ นั่งพักให้หายเหนื่อยแล้วเราก็ออกไปกินร้านโกปี๊ เราหิวกันจัด ลืมถ่ายรูปมาเลย

เสิร์ชติ่มซำหลายเว็ป สุดท้ายมาจบที่ร้านนี้ เลตรัง2 เรามายืนรอ 5 โมงร้านเปิด สักพักคนทยอยกันมาเรื่อยๆเลย
อร่อยสมคำล่ำลือจริงๆ ไฮไลท์คือขนมจีบกุ้ง ซาลาเปา เต้าหู้ ราคาก็โอเคนะ ไม่แพงเว่อร์จนเกินไป ผ่านนนนน
เราก็ยังแอบเหลือท้องไว้สำหรับหมูย่าง อาหารขึ้นชื่อของที่นี่ จากการรีวิวของชาวเน็ตบอกว่า
ควรไปร้านพงษ์โอชา เปิดกูเกิ้ลแมพ โอ้โห 1กิโลนิดๆ เราไม่หวั่น เดินได้ อากาศดี(เพื่อนบอก)
พอถึงร้าน สั่งเลย หมู...... ยังพูดไม่ทันจบ หมูหมด หมูหมด หมูหมด คือไร เดินมาตั้งไกล
เสิร์ชอีก เราต้องได้กิน ร้านกาแฟนักร้อง ไปๆเดินๆๆ ถนนก็เริ่มมืด หาร้านไม่เจออีก สุดท้ายไม่ไหว
นั่งวินกลับ จุดจบสายแข็ง555555 (พี่วินบอกหมูย่างต้องซื้อตอนเช้า อดไปเรา)


[CR] ดำน้ำบนเกาะลับ เกาะเหลาเหลียง - หลีเป๊ะ (6คืน7วัน) #ทริปคนบ้าดำน้ำทุกวัน{{{รูปเพียบ}}}
(6คืน7วัน) #ทริปคนบ้าดำน้ำทุกวัน
1 คืนบนรถทัวร์ 1 คืนบนเกาะเหลาเหลียง
1 คืนที่เมืองตรัง 3 คืนที่ใครไม่เป๊ะ...หลีเป๊ะ!
6 คืน 7 วัน กับงบ 12,500 บาท
รวมทุกอย่าง เก็บทุกจุดดำน้ำ
กำตังค์ไปแน่นๆ แล้วออกเดินทางกันดิ รอไร
#NoPlanHaveFun
รถขับดีไม่เร็วไม่ช้าไป แอร์เย็น เบาะกว้าง นอนสบาย ห้องน้ำสะอาด แค่นี้ก็พอแล้ว
ตื่นมาอีกที 6 โมงเช้า ล้างหน้าแปรงฟัน แล้วไปหาข้าวเช้าแบบคนตรังๆกินกัน
เลยสั่งมาเต็มโต๊ะ แต่รสชาติจะแปลกๆหน่อย อาจเพราะเค้าเสิร์ฟกับซอสพริก
ส่วนเราชินกับซอสเปรี้ยว ตามสไตล์คนกรุงเทพ
เราไปเกาะเหลาเหลียงกับ https://www.facebook.com/laoliangbeach/
เป็นทัวร์และที่พักเจ้าเดียวบนเกาะเหลาเหลียง แพคเกจ 2 วัน 1 คืน มีให้ทุกอย่าง
รถตู้รับ-ส่ง ที่พัก อาหาร อุปกรณ์ดำน้ำ เรียกว่าไปตัวเปล่าเลยก็ได้ คุ้มสุดๆ
ถึงท่าเรือปากปรนตอนประมาณ 10.30 ขนข้าวของ ต่อเรือหางยาวไปอีก 1 ชม.ครึ่งก็ถึง
“เกาะเหลาเหลียง”
เป็นเกาะที่ได้ใกล้ชิดธรรมชาติแบบสุดๆ พอไปถึงก็มีอาหารกลางวันรอรับเรา อาหารใต้แบบอร่อยสุดๆๆ
ตักกินกันเพลินเลย เต็นท์ก็กว้าง มีฟูกอยู่ด้านใน มีพัดลมให้ 1 ตัว
ว่ายไปอีกหน่อย เจออีก มาแบบทั้งวงตระกูลเลย คือรับประกันได้ว่ามาที่นี่ ยังไงก็เจอนีโม่แน่นวล
ถ้าเจอฝั่งอ่าวไทย หน้าตาเหมือนกันเปี๊ยบ แต่มีขีดขาวที่แก้ม ตัวนั้นชื่ออินเดียนแดงนะ
แต่มารู้ที่หลังว่าจริงๆคือมันอ้าปากหายใจยังงั้นของมันปกติ5555555
ก็มันมีอะไรดีๆเยอะอ่ะ ยังไม่อยากขึ้นเลย สรุปติดอยู่นอกหาดจ้า เข้ามาไม่ได้555555555555
เดินก็ไม่ได้ ค่อยๆนอนไหลๆตามน้ำ หลบโขดหินมาจนถึงฝั่ง หันไปหาเพื่อนที่กำลังโวยวายอยู่ข้างหลัง
ว่าไม่รอนาง เออนางอยู่ไกลจริงหว่ะ แม้จะงกๆเงิ่นๆเข้าฝั่งมาได้ แต่ก็ได้แผลมา 1 แผล 5555555555
ห้องน้ำที่นี่สะอาดใช้ได้ แต่พอดึกแล้วไฟอาจสว่างไม่พอ ควรพกไฟฉายกับทิชชูเปียกไปด้วยนะจะได้อุ่นใจ
กับบรรยากาศบ้านบาร์ ที่แค่เงยหน้ามองฟ้าก็เห็นดาวเต็มเลยแหละ
มันอยู่ได้เพราะน้ำจากหินที่หยดลงมา แถมขามันปีนเขาได้ด้วยนะ
DAY 3
บางคนก็บอกว่าพระอาทิตย์ก็ขึ้นของมันทุกวัน ทำไมไม่รู้จักดูหล่ะ
นั่นดิ แต่ที่เราตื่นขึ้นมาทุกวัน มันไม่ใช่วิวกับบรรยากาศแบบนี้ไง
ไหนๆมาแล้วก็ตื่นมาสูดอากาศดีๆ ให้เต็มปอดสักทีดิ่
8:30 พี่ๆสต๊าฟนัดรวมตัว จริงๆกิจกรรมทัวร์วันนี้คือ ไปเกาะเหลาเหลียงพี่ ที่อยู่ติดกัน (ที่เรานอนคือเหลาเหลียงน้อง)
ตัวพี่นี่คือนอนค้างไม่ได้ เดินเล่น ถ่ายรูปบนหาดได้ แต่พอดีช่วงนั้นเค้าไม่ให้ขึ้นเกาะ เป็นช่วงเก็บรังนกพอดี
ก็เลยพาเราไปดำน้ำที่เกาะตะเกียงแทน ดีเลย เราสายดำน้ำอยู่แล้ว5555555
น้ำลึก มีตะกอนหน่อย แต่ก็มองเห็นได้สบายๆ ดำน้ำอยู่เกือบชั่วโมง ก็กลับเกาะเหลาเหลียง
12.30 เรือออก โบกมือลา แล้วจะกลับมาอีกแน่นวล เราว่าที่นี่ยังคงรักษาความเป็นธรรมชาติไว้ได้ดีสุดๆ
ไม่เหมือนเกาะใหญ่ๆที่มีสิ่งปลูกสร้าง ความบันเทิงครบวงจร มันเลยยังสวยและสงบมาก
ส่วนตัวคิดว่า 2 วัน 1 คืนก็เพียงพอสำหรับที่นี่นะ แต่ถ้าชอบบรรยากาศเงียบๆ ก็จัด 3 วัน 2 คืนไปเลย ฟินสุด
ปล.เกาะนี้มีกิจกรรมให้ทดลองปีนผาด้วยนะ แต่ตอนเราไปหินเป็นตะไคร่ มันลื่น เลยงดไป อดเลย ครั้งหน้าจะไม่พลาดนะ
“เกาะเหลาเหลียง”
ใกล้กับสถานีรถไฟ นั่งพักให้หายเหนื่อยแล้วเราก็ออกไปกินร้านโกปี๊ เราหิวกันจัด ลืมถ่ายรูปมาเลย
อร่อยสมคำล่ำลือจริงๆ ไฮไลท์คือขนมจีบกุ้ง ซาลาเปา เต้าหู้ ราคาก็โอเคนะ ไม่แพงเว่อร์จนเกินไป ผ่านนนนน
เราก็ยังแอบเหลือท้องไว้สำหรับหมูย่าง อาหารขึ้นชื่อของที่นี่ จากการรีวิวของชาวเน็ตบอกว่า
ควรไปร้านพงษ์โอชา เปิดกูเกิ้ลแมพ โอ้โห 1กิโลนิดๆ เราไม่หวั่น เดินได้ อากาศดี(เพื่อนบอก)
พอถึงร้าน สั่งเลย หมู...... ยังพูดไม่ทันจบ หมูหมด หมูหมด หมูหมด คือไร เดินมาตั้งไกล
เสิร์ชอีก เราต้องได้กิน ร้านกาแฟนักร้อง ไปๆเดินๆๆ ถนนก็เริ่มมืด หาร้านไม่เจออีก สุดท้ายไม่ไหว
นั่งวินกลับ จุดจบสายแข็ง555555 (พี่วินบอกหมูย่างต้องซื้อตอนเช้า อดไปเรา)
ดูแผนที่ขนาดใหญ่ขึ้น