หน้าแรก
คอมมูนิตี้
ห้อง
แท็ก
คลับ
ห้อง
แก้ไขปักหมุด
ดูทั้งหมด
เกิดข้อผิดพลาดบางอย่าง
ลองใหม่
แท็ก
แก้ไขปักหมุด
ดูเพิ่มเติม
เกิดข้อผิดพลาดบางอย่าง
ลองใหม่
{room_name}
{name}
{description}
กิจกรรม
แลกพอยต์
อื่นๆ
ตั้งกระทู้
เข้าสู่ระบบ / สมัครสมาชิก
เว็บไซต์ในเครือ
Bloggang
Pantown
PantipMarket
Maggang
ติดตามพันทิป
ดาวน์โหลดได้แล้ววันนี้
เกี่ยวกับเรา
กฎ กติกา และมารยาท
คำแนะนำการโพสต์แสดงความเห็น
นโยบายเกี่ยวกับข้อมูลส่วนบุคคล
สิทธิ์การใช้งานของสมาชิก
ติดต่อทีมงาน Pantip
ติดต่อลงโฆษณา
ร่วมงานกับ Pantip
Download App Pantip
Pantip Certified Developer
[CR] ใส่ฟินสั้น ดำน้ำตื้น อ่าวสุเพเหนือ อ่าวสุเทพใต้ อช.หมู่เกาะสุรินทร์
กระทู้รีวิว
ดำน้ำ
เที่ยวทะเล
ปะการัง
นักดำน้ำ
Snorkeling
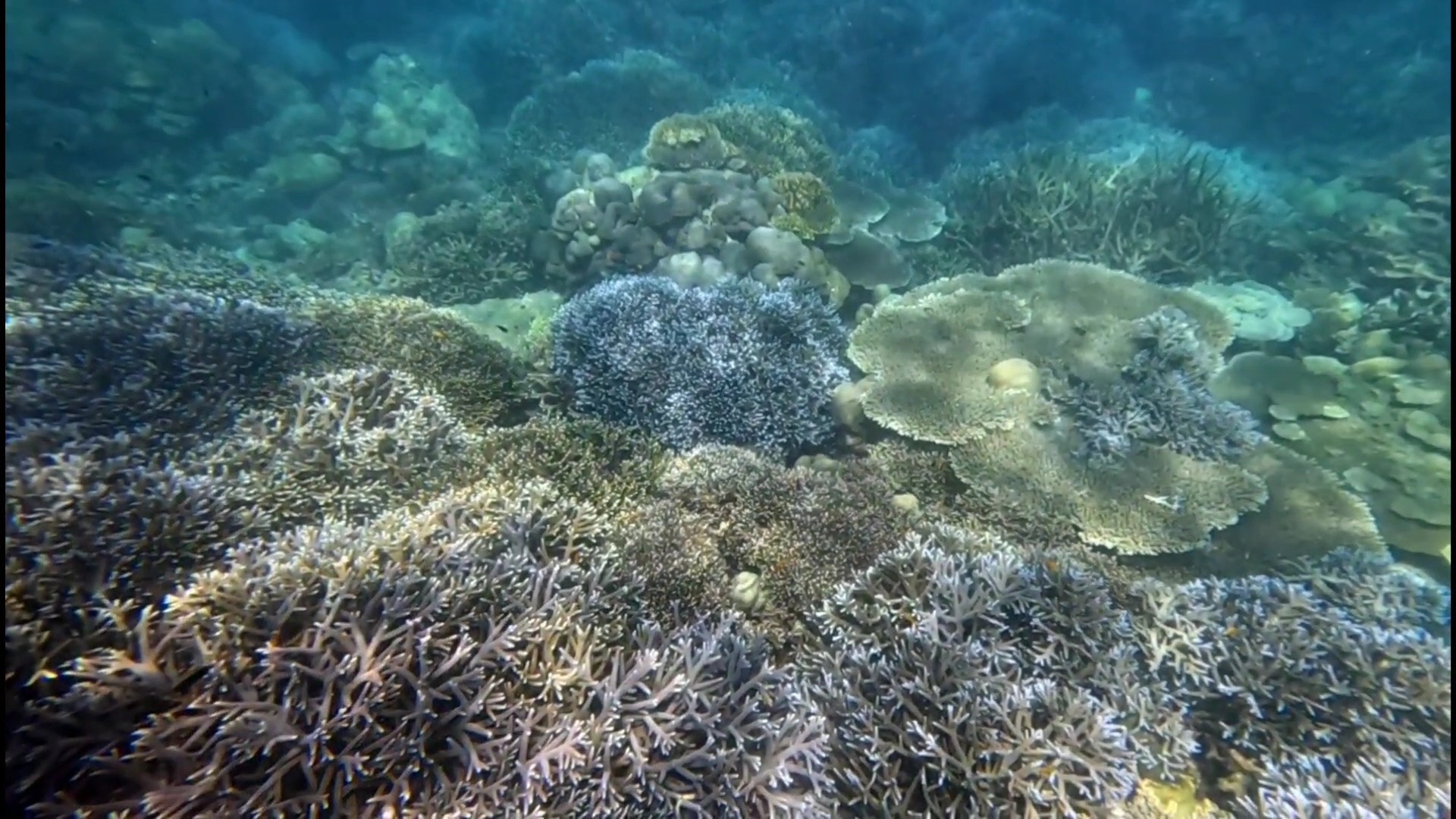
มีโอกาสได้ไป ดำน้ำตื้นอ่าวสุเทพเหนือ อ่าวสุเทพใต้สักที ก่อนไป เราก็เตรียมตัวฝึกซ้อมการใช้ฟิน
เราตั้งใจมากนะ หลังจาก 3 ปีที่แล้ว ประกาศ ห้ามใช้ฟินยาว เอ๊ะ เค้ามีปัญหาอะไรกัน
และปีที่แล้วเราไป เราใช้ฟินสั้น รุ่นแรก ๆ ที่เรามี แต่รู้สึก เหนื่อย
ก็ไป หาซื้อ ฟินใหม่ ป็นฟ้นสั้นแบบสกูบ้า แต่ว่า มันหนัก เลย ไป หาซื้อ อีกรุ่นมา ฝึก ทักษะการตีฟิน เหนือน้ำ ใต้น้ำ และ การตีฟินใต้น้ำ แบบพยุงตัวเพื่อถ่ายวีดีโอนิ่ง ๆ
ภาพทั้งหมดนี้ เป็นภาพ ดึงจากวีดีโอ gopro11 นะครับผมอาจดึงมาซ้ำ คล้าย ๆ กันบ้าง ตั้งใจอยากให้ได้เห็นความสวยงามกัน
ส่วนอีก ที่หนึ่ง เสียดายไม่ได้ไปอ่าวไม้งาม เพราะผมบอกน้องไกด์ ไป ไหนก็ได้ น้องเลยพาไป อ่าวสัปปะรด ซ้ำปีที่แล้ว แต่ก็สวยครับ คราวนี้ผมดำลงไหล่ทวีป ไว้จะแชร์อีก โพสต์ นะครับ
ผมเล่าไม่เก่ง แต่รูปไม่สวย เลย เอามาโชว์ แบบ นี้เลย😁😁😁
นั่งเรือหางยาวออกไปพร้อมนักท่องเที่ยว 8 คน ผมลงแค่ 2 จุด ตรงเรือจอดนะครับ 3เมตร และ 5 เมตร ก็ไม่ได้เลาะไปไหนแล้ว เพราะ แค่นี้ก็ถ่ายวนไปวนมา สวยมาก
กฎหมายผู้ควบคุมดำน้ำแนวปะการังในไทย (ประกาศปี 2568) มีเป้าหมายเพื่อปกป้องปะการัง โดยกำหนดให้ผู้ควบคุมต้องดูแลอัตราส่วนนักดำน้ำ (Scuba) ไม่เกิน 1 ต่อ 4 คน, ห้ามเคลื่อนย้ายสิ่งมีชีวิต, ห้ามแตะต้องปะการัง, ห้ามให้อาหารสัตว์, และห้ามทิ้งขยะหรือเดินบนพื้นทะเล (Sea Walker) ที่สำคัญคือ ห้ามนักดำน้ำทั่วไปถ่ายรูปใต้น้ำ ยกเว้นผู้มีประสบการณ์สูง (AOW/40 ไดฟ์+) โดยมีโทษปรับและจำคุกสำหรับผู้ฝ่าฝืน เพื่อให้อนุรักษ์ทรัพยากรปะการังอย่างยั่งยืน.
ชื่อสินค้า:
อ่าวสุเทพเหนือ อ่าวสุเทพใต้
คะแนน:
CR - Consumer Review : กระทู้รีวิวนี้เป็นกระทู้ CR โดยที่เจ้าของกระทู้
- จ่ายเงินซื้อเอง หรือได้รับจากคนรู้จักที่ไม่ใช่เจ้าของสินค้า เช่น เพื่อนซื้อให้
- ไม่ได้รับค่าจ้างและผลประโยชน์ใดๆ
ดูแผนที่ขนาดใหญ่ขึ้น
แก้ไขข้อความเมื่อ
▼
กำลังโหลดข้อมูล...
▼
แสดงความคิดเห็น
กระทู้ที่คุณอาจสนใจ
ต้องไปตลาดแม่กลองจากแถวสาทร แต่ไม่อยากผ่านพระราม 2 ไปอย่างไรดีครับ
รบกวนแนะนำด้วยครับ กลัวว่าพอไปจริง..มันจะอ้อมเกินไปหรือไม่ ขอบคุณครับ
Xibalba
น้า Low Batt :: ไก่รวนเค็ม & ผัดผักบุ้งไฟแดง
สวัสดีครับทุก ๆ ท่าน เมื่อวานนี้ลูกสาวซื้อไก่ย่างมาฝากหนึ่งตัว กินไปได้แค่ครึ่งตัวที่เหลือก็แช่ตู้เย็นทิ้งไว้ มาวันนี้มื้อเย็นท่าน ผบ.ชวนต้มข้าวต้มกิน วันนี้ทำข้าวต้มแบบใส่ใบเตยเพิ่มความหอมซะหน่อย
น้า Low Batt
Chasing the Tracks: Harbin to Bangkok by Train "ไม่ง้อเครื่องบินเพราะอยากฟินกับราง" ฮาร์บินกลับกรุงเทพโดยรถไฟ
Wǒ shì Tàiguó rén, wǒ xǐhuan Zhōngguó !! มีโอกาสได้ Backpack มาเที่ยวฮาร์บินคนเดียว ตอนมาถึงก็ยังไม่มีแผนเที่ยวไหนต่อก่อนกลับไทย เพราะจีนใหญ่มากและอยากเที่ยวอีกหลาย
สมาชิกหมายเลข 9239609
หลายคนไม่ได้เก่งกว่าคุณ แต่เขาเป็นผู้นำได้ เพราะสังคมยอมรับเขา
การสอนของชนชั้นปกครอง มักมีการปลูกฝังตั้งแต่ระดับครอบครัว ในเรื่องการสร้างการยอมรับทางสังคม เช่น บุคลิกภาพ การพูดจา การจัดการอารมณ์ นอกเหนือจากความรู้ทางวิทยาศาสตร์ หรือ หลัก กม. ในการปกครองคน ความรู
สมาชิกหมายเลข 7873663
สปส. ช่วยแจ้งเปิดเผยชื่อระเบียบการสร้างโรงอาหารให้ผู้ประกันตนดูด้วยนะ ว่าระเบียบดังกล่าวใช้อำนาจตามกฎหมายมาตราไหน?
ไอซ์-รักชนก’ สวนกลับ ‘ประกันสังคม’ ลั่นถูกระเบียบแต่ค้านสายตาผู้ประกันตน https://www.dailynews.co.th/news/5524446/ . "รักชนก ศรีนอก" โพสต์เดือด สวน สำนักงานประกันสังคม แจงป
สมาชิกหมายเลข 6654990
หนาวนี้ที่ Kazakhstan
ต้นเดือน มกราคม พ่อบ้านต้องไปจัดการธุระบางอย่างที่ Kazakhstan ก็ชวนแม่เปปไปด้วย ไม่ต้องจ่ายสตางค์สักบาททำไมแม่เปปจะไม่ไป 55 แม่เปปเลยเก็บภาพบรรยากาศหิมะระหว่างทางเท่าที่สามารถเก็บมาได้มาฝากค่ะ ดีนะท
Babycham
กลอเซโล-ดอยพุ่ยโค | ทะเลหมอกสองแผ่นดิน
กลอเซโล-ดอยพุ่ยโค | ทะเลหมอกสองแผ่นดิน........................................................................... ภาพ1: ขุนกลอเซโล ภาพ2: ดอยพุ่ยโค สวัสดีนักเดินทางทุกท่าน 🙏 เรากลับมาพร้อมกับการเด
สมาชิกหมายเลข 6656005
== แบกเป้ไปท้าความเสียว== (เลอกวาเดาะ ขุนเขาแห่งศรัทธา)
หยุดเดินป่าไปนาน กลับมาแบกเป้ เดินป่า ท้าความเสียวของผาสูงชันเลอกวาเดาะ เลอกอเดาะ เป็นพระธาติ ที่ชาวประกากะยอ ขนอิฐ หินปูนทราย ขึ้นไปสร้างบนยอดเขาสูง ชันทางเดินลำบาก ทริปนี้ผม แชร์ทริปไปกับ เพจ
-=Jfk=-
Yingtianmen ประตูสวรรค์แห่งราชวงศ์ถัง
มาลั่วหยาง Luoyang ย่อมไม่พลาดกับ Yingtianmen (อิ้งเทียนเหมิน) ที่กล่าวกันว่าเป็นประตูสวรรค์แห่งราชวงศ์ถัง ประตูทางเข้าพระราชวังหลวงทางทิศใต้ในสมัยราชวงศ์สุยและถัง ซึ่งมีความสำคัญทางประวัติศาสตร์มาก เ
สมาชิกหมายเลข 8434553
Do is on จากเด็กแสบย่านฝั่งธนฯสู่เจ้าของร้านอาหารระดับ MICHELIN Guide ที่ ฉวี @ เชียงใหม่
สวัสดีครับ ต้องยอมรับว่าร้านอาหารไทย ฉวี เป็นหนึ่งในเป้าหมายของสายกินในเชียงใหม่ ก่อนที่ร้านจะได้รับให้อยู่ในเล่มแดง The MICHELIN Guide Thailand 2026 คู่มือมิชลินฉบับประเทศไทยประจำปี 2026 (พ.ศ. 256
DO is On The WAY
อ่านกระทู้อื่นที่พูดคุยเกี่ยวกับ
ดำน้ำ
เที่ยวทะเล
ปะการัง
นักดำน้ำ
Snorkeling
บนสุด
ล่างสุด
อ่านเฉพาะข้อความเจ้าของกระทู้
หน้า:
หน้า
จาก
แชร์ :
โปรดศึกษาและยอมรับนโยบายข้อมูลส่วนบุคคลก่อนเริ่มใช้งาน
อ่านเพิ่มเติมได้ที่นี่
ยอมรับ
[CR] ใส่ฟินสั้น ดำน้ำตื้น อ่าวสุเพเหนือ อ่าวสุเทพใต้ อช.หมู่เกาะสุรินทร์
มีโอกาสได้ไป ดำน้ำตื้นอ่าวสุเทพเหนือ อ่าวสุเทพใต้สักที ก่อนไป เราก็เตรียมตัวฝึกซ้อมการใช้ฟิน
เราตั้งใจมากนะ หลังจาก 3 ปีที่แล้ว ประกาศ ห้ามใช้ฟินยาว เอ๊ะ เค้ามีปัญหาอะไรกัน
และปีที่แล้วเราไป เราใช้ฟินสั้น รุ่นแรก ๆ ที่เรามี แต่รู้สึก เหนื่อย
ก็ไป หาซื้อ ฟินใหม่ ป็นฟ้นสั้นแบบสกูบ้า แต่ว่า มันหนัก เลย ไป หาซื้อ อีกรุ่นมา ฝึก ทักษะการตีฟิน เหนือน้ำ ใต้น้ำ และ การตีฟินใต้น้ำ แบบพยุงตัวเพื่อถ่ายวีดีโอนิ่ง ๆ
ภาพทั้งหมดนี้ เป็นภาพ ดึงจากวีดีโอ gopro11 นะครับผมอาจดึงมาซ้ำ คล้าย ๆ กันบ้าง ตั้งใจอยากให้ได้เห็นความสวยงามกัน
ส่วนอีก ที่หนึ่ง เสียดายไม่ได้ไปอ่าวไม้งาม เพราะผมบอกน้องไกด์ ไป ไหนก็ได้ น้องเลยพาไป อ่าวสัปปะรด ซ้ำปีที่แล้ว แต่ก็สวยครับ คราวนี้ผมดำลงไหล่ทวีป ไว้จะแชร์อีก โพสต์ นะครับ
ผมเล่าไม่เก่ง แต่รูปไม่สวย เลย เอามาโชว์ แบบ นี้เลย😁😁😁
นั่งเรือหางยาวออกไปพร้อมนักท่องเที่ยว 8 คน ผมลงแค่ 2 จุด ตรงเรือจอดนะครับ 3เมตร และ 5 เมตร ก็ไม่ได้เลาะไปไหนแล้ว เพราะ แค่นี้ก็ถ่ายวนไปวนมา สวยมาก
กฎหมายผู้ควบคุมดำน้ำแนวปะการังในไทย (ประกาศปี 2568) มีเป้าหมายเพื่อปกป้องปะการัง โดยกำหนดให้ผู้ควบคุมต้องดูแลอัตราส่วนนักดำน้ำ (Scuba) ไม่เกิน 1 ต่อ 4 คน, ห้ามเคลื่อนย้ายสิ่งมีชีวิต, ห้ามแตะต้องปะการัง, ห้ามให้อาหารสัตว์, และห้ามทิ้งขยะหรือเดินบนพื้นทะเล (Sea Walker) ที่สำคัญคือ ห้ามนักดำน้ำทั่วไปถ่ายรูปใต้น้ำ ยกเว้นผู้มีประสบการณ์สูง (AOW/40 ไดฟ์+) โดยมีโทษปรับและจำคุกสำหรับผู้ฝ่าฝืน เพื่อให้อนุรักษ์ทรัพยากรปะการังอย่างยั่งยืน.
CR - Consumer Review : กระทู้รีวิวนี้เป็นกระทู้ CR โดยที่เจ้าของกระทู้
ดูแผนที่ขนาดใหญ่ขึ้น