@@ อากาศดีๆแบบนี้พาออกไปจับปลา....กลางทุ่งนา กันครับ ^^ @@


สวัสดีครับ...กระทู้วันนี้จะพาทุกๆคน  ออกไปจับปลากลางทุ่งนากันครับ
ช่วงปีใหม่ ที่บ้านต่างจังหวัด นอกจากกิจกรรมเผาข้าวหลามแล้ว
สิ่งที่หลายๆบ้านนิยมทำก็คือการวิดบ่อปลาครับ ไม่ว่าจะเป็นบ่อที่อยู่ในบ้าน หรือบ่อที่อยู่กลางทุ่งก็ตาม
ปีนี้ที่บ้านของผมก็วิดบ่อปลาด้วย เป็นบ่อปลาที่อยู่กลางทุ่งนา ทุกๆปีช่วงฤดูน้ำหลาก น้ำเหนือจะเข้าท่วมพื้นที่ทุ่งนานี้หมดเลยครับ
ช่วงเดือนสิงหาคม-กันยายน พอน้ำแห้งช่วงปลายปี ปลาที่มากับน้ำก็จะถูกขังอยู่ในบ่อนี้
เราก็ทำการวิดบ่อจับปลามากิน แจกจ่าย เหลือก็ขายไปครับ
เพี้ยนต้มน้ำรอ

นี่คือบรรยากาศหลังจากทำบุญวันปีใหม่เสร็จครับ (1 มกราคม 2569)
ช่วงเวลาประมาณ 9-10 โมงเช้า แสงแดด ท้องฟ้าสดใส
เดินออกไปกลางทุ่งนาที่อยู่ห่างจากบ้านประมาณ 500-600 เมตร ครับ
ลมพัดเย็นสบาย เดินได้ชิลล์ๆ


ถึงแล้วครับ นั่นบ่อปลากลางทุ่ง น้องมาตั้งเครื่องสูบน้ำวิดบ่อไว้ตั้งแต่เมื่อคืน
เช้ามาน้ำก็แห้งพอดีครับ


กะละมังใบใหญ่ๆ ใส่น้ำเตรียมไว้คัดเอาปลาชนิดต่างๆแยกกัน
กลางทุ่งนาลมแรงมากครับ สังเกตจากยอดยูคาลิปตัสและใบกล้วย
ลมทั้งแรงและหนาวครับ ฮ่าๆ

ต้อนรับกันด้วย มันเผาร้อนๆ หอมๆ

และสำรับข้าวเช้ากลางทุ่งนาครับ
ไปทำบุญมายังไม่ได้กินข้าวเช้า ถือโอกาสออกมากินกลางนาเลยครับ
รองพื้นนั่งด้วยใบตอง เห็นสีดำๆนั่นไม่รู้ว่ามันคืออะไรใช่มั้ยครับ

รูปนี้ก็ยังดูไม่ออก

มันคือปลาสวายเผา เนื้อหอมๆแน่นๆเลยครับ สดมากกกก



แจ่วด้าน น้ำพริกสุดอร่อย สูตรเด็ดของไทยทรงดำ(ลาวโซ่ง)
ขาดไม่ได้ในทุกมื้ออาหาร ครับ คลุกข้าวสวยร้อนๆก็อร่อย จ้ำข้าวเหนียวก็อร่อยครับ

ข้าวเหนียวนึ่งนุ่มๆ ร้อนๆ กับแจ่วด้านเป็นของคู่กัน

ผัดดอกหอมใส่หมูที่เหลือมาจากทำบุญครับ

ยอดสะเดาลวกกินกับแจ่วด้านและปลาเผา อร่อยมากกกกก

ผักก้านจอง กระเจี๊ยบเขียว
เก็บจากทุ่งนาเลยครับ กระเจี๊ยบเขียวคุณอาปลูกไว้ตามขอบบ่อ

ปลาเผาตัวน้อย เนื้อพอมีให้กินครับ  ^^

เป็นมื้อเช้าที่บรรยากาศ พาเจริญอาหารมากๆ


พออิ่มท้องก็ได้เวลาลงบ่อจับปลากันครับ
แต่ผมไม่ได้ลง รอคัดปลาอยู่ด้านบนครับ
เขาบอกว่าในบ่อปลาแขยงเยอะ กลัวโดนมันแทงครับ
เคยโดนตอนเด็กๆ ปวดเท้าแทบตาย ยังจำความเจ็บปวดนั้นได้ดีครับ
เพี้ยนสะอื้น

จับปลาใส่ตะกร้าแล้วก็ยกขึ้นมาด้านบนบ่อ
ตะกร้านี้ได้ปลาช่อนตัวใหญ่มากครับ

เทียบกับแขนเด็ก

สูบน้ำมาล้างปลา แล้วก็คัดแยกปลาแต่ละชนิดออกจากกันครับ
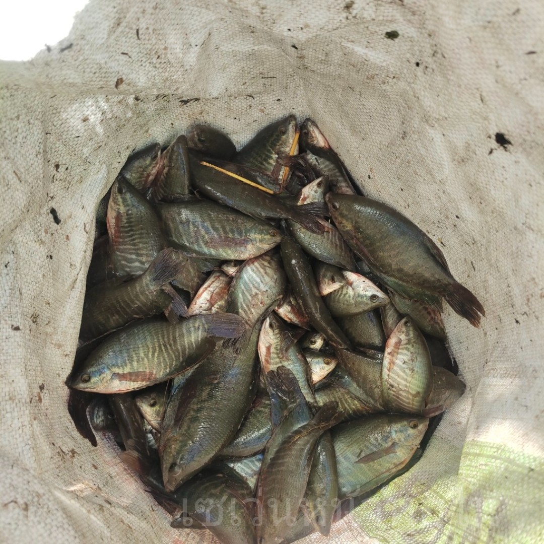
ปีนี้คุณอาบอกว่ามีปลาสลิดกับปลาหมอเยอะมาก ปลาช่อน ปลาสวายไม่ค่อยเยอะครับ
ปลาแขยงก็พอมาบ้าง


ปลาหมอตัวใหญ่มากครับ

ปลาตะเพียนก็พอมีได้บ้าง

อันนี้ปลากระดี่ ปลาเล็กปลาน้อย เดี๋ยวเอาไปทำกระดี่รำวงกับปลาร้าครับ

ปลาสลิด

ใช้เวลาประมาณ 3 ชั่วโมงก็เก็บของเข้าบ้านครับ
รถแบบนี้บ้านผมเรียกว่า รถอีโก้ง ครับ
ตอนเด็กๆชอบนั่งมาก นั่งไปหัวสั่นหัวคลอนไปตามแรงเหวี่ยงรถ ฮ่าๆ

ปลาที่ได้มาส่วนหนึ่งเก็บไว้กิน ทำปลาแดดเดียว ทำปลาเกลือเก็บไว้ทอดกิน
ส่วนหนึ่งแจกจ่ายคนที่มาช่วยจับปลา ส่วนหนึ่งก็มีคนในหมู่บ้านมาตามซื้อถึงที่บ้านเลยครับ
เหลือเยอะปลาเล็กปลาน้อยก็แบ่งๆกันกิน ค่าน้ำมันเติมเครื่องสูบน้ำวิดบ่อ2000บาท
ขายปลาได้มากกว่า2000ก็คือกำไรแล้วครับ ^^

ขอบคุณที่เข้ามาเยี่ยมชมนะครับ ^^
เพี้ยนเย้
แก้ไขข้อความเมื่อ
แสดงความคิดเห็น
โปรดศึกษาและยอมรับนโยบายข้อมูลส่วนบุคคลก่อนเริ่มใช้งาน อ่านเพิ่มเติมได้ที่นี่