หน้าแรก
คอมมูนิตี้
ห้อง
แท็ก
คลับ
ห้อง
แก้ไขปักหมุด
ดูทั้งหมด
เกิดข้อผิดพลาดบางอย่าง
ลองใหม่
แท็ก
แก้ไขปักหมุด
ดูเพิ่มเติม
เกิดข้อผิดพลาดบางอย่าง
ลองใหม่
{room_name}
{name}
{description}
กิจกรรม
แลกพอยต์
อื่นๆ
ตั้งกระทู้
เข้าสู่ระบบ / สมัครสมาชิก
เว็บไซต์ในเครือ
Bloggang
Pantown
PantipMarket
Maggang
ติดตามพันทิป
ดาวน์โหลดได้แล้ววันนี้
เกี่ยวกับเรา
กฎ กติกา และมารยาท
คำแนะนำการโพสต์แสดงความเห็น
นโยบายเกี่ยวกับข้อมูลส่วนบุคคล
สิทธิ์การใช้งานของสมาชิก
ติดต่อทีมงาน Pantip
ติดต่อลงโฆษณา
ร่วมงานกับ Pantip
Download App Pantip
Pantip Certified Developer
ทำไงให้ตรงท้องน้องแมวหายคะ
กระทู้คำถาม
แมว
ยาและเวชภัณฑ์สำหรับสัตว์
ช่วยเหลือสัตว์
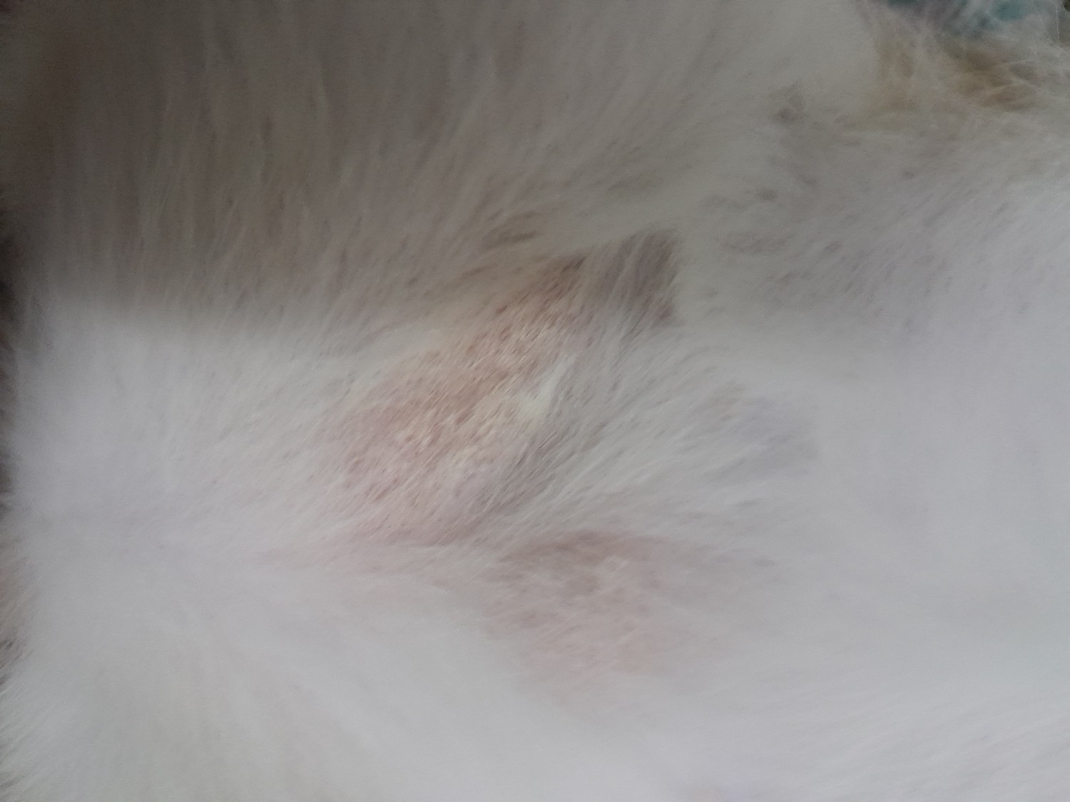
น้องแมวหนูอายุประมาณ2เดือนค่ะ ที่ท้องล่างของน้องเหมือนมีผื่นขึ้น มันคืออะไรคะ ทำไงให้น้องหายคะTwT. กลัวน้องเป็นหนัก
▼
กำลังโหลดข้อมูล...
▼
แสดงความคิดเห็น
กระทู้ที่คุณอาจสนใจ
เรื่องการให้แมวกินนมวัน
ทำไมคนไทยส่วนใหญ่ให้แมวกินนมวัวหรอคะ? บางคนหนูไม่รู้หรอกค่ะว่าให้ทำไมบางคนเลี้ยงโดยไม่ศึกษาเรื่อฃแมวเลยค่ะเช่นญาติหนูคนหนึ่งวันนี้แกมาบ้านหนูเลยถามเรื่องแมวที่เคยเอาให้แกไปค่ะแล้วแกก็เอานมวัวให้แมวกิน
สมาชิกหมายเลข 9312839
แมวเป็นอะไรช่วยดูหน่อยค่ะ ช่วยแนะนำยาด้วยนะคะ
น้องเป็นอะไรคะ สงสารน้องมากเลย หนูไม่มีเงิน ไม่มีเวลาพาไปหาหมอ ชับรถก็ไม่ได้ ช่วนแนะนำยาหน่อยค่ะ ตอนแรกเป็นแค่ตรงหู แต่ตอนนี้ลามเยอะมาก หนูต้องขังน้องไว้ในกรงข้้้างนอกเพราะถ้าเลี้ยงไว้ข้างในคนในครอบคร
สมาชิกหมายเลข 8119304
ลูกแมวอายุ 2 เดือน ขากะเผลก ตัวร้อน นอนซึมไม่กินอาหาร เกิดจากอะไรคะ
คือว่าหนูไปทำงานค่ะ ตอนเช้า เลยปล่อยให้ลูกแทวเดินอยู่ในบ้าน ในบ้านมีคนอยู่ด้วยนะคะ ก่อนออกจากบ้านลูกแมวคือนอนเล่นอยู่หน้าประตูห้องหนู แต่พอกลับมาตอนเย็น ลูกแม่วนอนอยู่กลางบ้าน แล้วก็เดินมาหา ขาหน้าน้อ
สมาชิกหมายเลข 7253996
แมวโดนน้ำร้อนลวก
หนูฝากเเมวไว้กับคนข้างบ้าน5วันเพราะไปต่างจังหวัดพอกลับมาเเมวมีเเผลเเต่เป็นนิดเดียวเลยไม่คิดอะไรมาก พอผ่านมาสัก 1อาทิตย์ เเมวเริ่มเป็นเยอะขึ้นเลยพอน้องไปหาหมอหมอบอกโดนน้ำร้อนลวกเเละต้องเอาขนออกเพราะเป็
สมาชิกหมายเลข 5877910
ไรในหูแมวแก้ยังไงให้หายขสดค่ะ
น้องแมวเป็นไรในหูเช็ดหนูให้อาทิตย์ลาะ2-3วันแต่ก็ดำเร็วมาก พอเช็ดเสร็จน้องก็เกาใหญ่เลยเพราะคัน ให้พอมียาหยดไนในหูแนะนำมั้ยค่ะที่ใช้แล้วหายขาดเลย แนะนำหน่อยค่ะ
สมาชิกหมายเลข 7596086
แมวท้องไหมคะแบบนี้?
แมวท้องไหมคะแบบนี้เราเครียดมากๆเลย ไม่อยากให้ต้องท้องแต่ก็ยังไม่ได้ทำหมันเพราะว่าเอาน้องไปอัลตราซาวมาครั้งก่อนหัวใจโตผิดปกติ หมอบอกว่าถ้าจะทำหมันต้องตรวจละเอียดก่อนเพราะกลัวตอนทำน้องจะเกิดอาการต่างๆเล
สมาชิกหมายเลข 6187779
แมวกัดกัน
คือ แมวคนในหมู่บ้านมากัดแมวเราที่หน้าบ้านหลายครั้งแล้ว แมวเราเป็นแผลพาไปรักษา2รอบแต่ไม่ได้เสียค่ารักษาเยอะ เลยไม่ได้แจ้งเจ้าของฝั่งนั้น แต่รอบนี้แมวเขามากัดอีก แมวเราตาทะลักออกมาคั่งเลือดจมูกและปากมีแ
สมาชิกหมายเลข 8244252
แมวหลังผ่าตัด มดลูกอักเสบ
ขอบคุณอนุญาตถามนะคะ น้องแมวผ่าตัดมดลูกอักเสบ มาจะเดือนแล้วน้องไม่กินข้าวเลยคะ ตอนแรกๆน้องก็กินปกติช่วงพักฟื้น 3-4 วัน น้องกินอยู่บ้าง แต่หลังจากวันที่5ยาวมาตอนนี้น้องไม่กินเลยคะต้องบังคับ แมวอายุ 6ปีต
สมาชิกหมายเลข 6327342
พึ่งรับแมวมาเลี้ยง น้องพันธ์สก็อตติช ทำไงให้น้องชินกับเรากับบ้านไวๆครับ
พอจะมีวิธีให้น้องๆปรับตัวหรือชินกับคนกับบ้านใหม่ไวๆมั้ยครับ ช่วยแนะนำที อยากเล่นกับน้อง แต่น้องดูขี้กลัว ชอบมุดตามซอก
สมาชิกหมายเลข 4887687
แมวมีแผลใต้ท้อง รักษาอย่างไร
สวัสดีค่ะ พอดีแมวเราเป็นแผลใต้ท้อง ใส่ยาแก้แผลสดก็ไม่หาย ไม่ทราบสาเหตุเกิดจากอะไร แผลเป็นแรงขึ้นทุกวันค่ะ รบกวนแนะนำหน่อยค่ะ ถ้าพาไปคลินิกรักษาสัตว์ราคาแพงไหม
สมาชิกหมายเลข 7889493
อ่านกระทู้อื่นที่พูดคุยเกี่ยวกับ
แมว
ยาและเวชภัณฑ์สำหรับสัตว์
ช่วยเหลือสัตว์
บนสุด
ล่างสุด
อ่านเฉพาะข้อความเจ้าของกระทู้
หน้า:
หน้า
จาก
แชร์ :
โปรดศึกษาและยอมรับนโยบายข้อมูลส่วนบุคคลก่อนเริ่มใช้งาน
อ่านเพิ่มเติมได้ที่นี่
ยอมรับ
ทำไงให้ตรงท้องน้องแมวหายคะ