สวัสดีครับทุกท่าน เนื่องจากผมเองกำลังจะปลูกบ้านหลังแรกในชีวิต บ้านอยู่ จ.ในภาคเหนือ
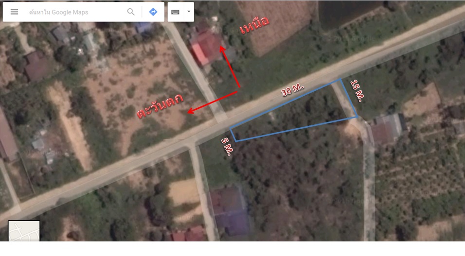
*** แต่เนื่องจากที่ดินที่ได้รับมานั้นเป็นที่ดินที่ค่อนข้างจะไม่ได้ สัดส่วนหรือสวยงาม ทำให้การจัดวางผังบ้านทำได้ยาก ผมจึงอยากจะขอคำแนะนำจากท่านทั้งหลายว่า
1 . บ้านควรเป็นรูปแบบใด ( ตำแหน่งบ้าน การปลูกต้นไม้ การทำหน้าต่างเพื่อถูกต้องตามทิศทางลม หรือแสงแดด )
2 .ประตูรั่วบ้านควรอยู่บริเวณไหนดีครับ โรงรถ หรือ ทางเข้า ควรจัดอย่างไรดี
3. ช่วยเสนอแนะ ออกแบบบ้านให้ผมทีครับ ถ้าเป็นท่านจำจัดการอย่างไร บ้านสไตย์ไหนดีครับ
ปล.ผมไม่มีความรู้เรื่องบ้านเลยจริงๆๆ
ขอคำแนะนำหน่อยครับ จะวางผังบ้านอย่างไรดี
*** แต่เนื่องจากที่ดินที่ได้รับมานั้นเป็นที่ดินที่ค่อนข้างจะไม่ได้ สัดส่วนหรือสวยงาม ทำให้การจัดวางผังบ้านทำได้ยาก ผมจึงอยากจะขอคำแนะนำจากท่านทั้งหลายว่า
1 . บ้านควรเป็นรูปแบบใด ( ตำแหน่งบ้าน การปลูกต้นไม้ การทำหน้าต่างเพื่อถูกต้องตามทิศทางลม หรือแสงแดด )
2 .ประตูรั่วบ้านควรอยู่บริเวณไหนดีครับ โรงรถ หรือ ทางเข้า ควรจัดอย่างไรดี
3. ช่วยเสนอแนะ ออกแบบบ้านให้ผมทีครับ ถ้าเป็นท่านจำจัดการอย่างไร บ้านสไตย์ไหนดีครับ
ปล.ผมไม่มีความรู้เรื่องบ้านเลยจริงๆๆ